
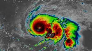
El ciclón Huracán Melissa arrasa el Caribe: Jamaica, Haití y Cuba registran daños catastróficos
Con vientos que superaron los 300 km/h, el huracán Melissa se convirtió en uno de los más intensos de la historia del Atlántico. El Caribe enfrenta una calamidad humanitaria y ambiental que pinta para una recuperación larga y compleja.

















